Применение народных средств борьбы с вредителем
Рассматривая способы борьбы с колорадским жуком, стоит обратить внимание на рецепты, дарованные самой природой. Они часто и широко использовались нашими бабушками и успели проявить себя в лучшей манере
Зола березы
Это средство применяется с целью опыления взрослых кустов, но требуется ее большое количество – порядка 10 кг на сотку. Благодаря принятым мерам, можно добиться гибели всех особей – от личинок до взрослых самок и самцов. Если взять этот состав и посыпать им почву, то вредители, которые успели спрятаться под нею, также будут погибать.
Зола + хозяйственное мыло
Это достаточно эффективное средство от колорадского жука называется «брызгало», потому что посредством специального настоя осуществляется опрыскивание растительных кустов. Для приготовления нужно взять ведро воды и измельчить брус мыла, перемешать. В эту же емкость кладется древесная зола. Достаточно использовать по 2 раза в неделю, и результат будет достигнут.
Применение календулы
Календула
Рассматривая вопрос о том, как уничтожить колорадского жука, можно отметить, что даже простые цветочки и листики этого растения могут отпугнуть главного картофельного вредителя, и на растении не появится взрослых особей и их яиц. Это растение нужно посадить в области дачного надела, а также провести хаотичное насаживание календулы внутри грядки.
Использование полыни
Полынь
Обработка картофеля перед посадкой от колорадского жука осуществляется посредством этой травы, да и проблем со сбором растения не возникнет. Нужно сделать срезание нескольких кустов растения, затем тщательно ее нарезать и засыпать в ведро на треть объема. Налить кипяток и после размешивания настоять несколько дней. Этим составом необходимо регулярно опрыскивать огород.
Использование кукурузной муки
Рассматривая лучшее средство по борьбе с этими вредителями, стоит обратить внимание на процесс опрыскивания. Метод базируется на том, что кукурузные частички призваны увеличивать свой объемный показатель в ходе намачивания. Аналогично происходит их разбухание в желудочном тракте жука, и он погибает
Аналогично происходит их разбухание в желудочном тракте жука, и он погибает.
Опилки для борьбы с врагом
Инструкция по применению этого способа проста: необходимо осыпать на землю свежие опилки сосны или березы и сделать это между картофельными кустами. По итогу жук стремится обойти всю плантацию стороной, поскольку является чувствительным к запаху свежей древесины. Необходимо хорошо посыпать опилки порядка раза в двухнедельный период, затем процедуры повторяются по разу в месяц.
Грецкий орех как проверенное средство
Пользование народными средствами такого плана предполагает наличие минимум двух вариантов по избавлению огорода от вредителя. В первом случае берется один кг листьев свежего вида и заливается посредством 10 л кипятка. Нужно настоять неделю. Во втором случае используется скорлупа в количестве 300 г, а также сушеные листья, которые заливаются кипятком и настаиваются неделю.
Альтернативные и простые способы устранения
Если ищете, чем травить насекомое, одним из лучших средств станет деготь березы в количестве 100 г, разведенный 10-ю литрами воды. Используется такой состав трижды за недельный период.
Цветки подсолнечника помогут травить колорадского жука в два счета. Для этого они берутся в количестве 0,5 кг и настаиваются в 10 л воды в течение трехдневного периода.
Борьба с колорадским жуком без химии предполагает использование 1,5 кг чистотела, настоянного в горячей воде с добавлением 1,5% кальция.
Шелуха лука, настоянная в течение суток. Берется 300 г сырья на 10 л горячей воды. Раствором нужно опрыскать картофельную растительность.
Одуванчик – лучший яд от действия колорадского жука. Необходимо взять 200 г травы и 200 г хвоща, кипятить в воде 15 минут.
Горький перец в сухом виде необходимо отварить в 10 литровом количестве воды с добавлением мыла в содержании 40 г.
Если в огороде поселился колорадский жук, то, как избавиться – поможет горчак желтый. Нужно его 2 кг с 10-ю л воды и 30-ю г мыла.
Клоповник с махоркой кипяченый – эффективное народное средство от паразитирования колорадского жука. Настаивать в течение 2-х дней.
Широко используется горчица против размножающегося колорадского жука. Нужно брать и применять отвар ее листьев для опрыскивания.
Любой органический состав превосходит химическую смесь, поскольку является безопасным и эффективным, обеспечивая полное уничтожение вредителя. Описание каждого способа представлено в статье.
Народные рецепты борьбы
Часть огородников считают, что справиться с вредителем можно только с применением химических препаратов. Другие борются по старинке с колорадским жуком народными средствами, которые не потеряли своей актуальности.
Борьба с колорадским жуком – это долгий процесс. Вредитель легко адаптируются к новым условиям. Рекомендуют применять разные методы борьбы. Многие несмотря на обилие химии на прилавках, используют от колорадского жука на картошке народные средства.
Ручной сбор колорадского жука
Если участок небольшой и есть достаточное количество времени, то можно воспользоваться старинным методом ручного сбора. От него многие отказываются, так как считают неэффективным и слишком долгим.
Есть несколько хитростей и секретов, которые помогут ускорить процедуру, избавить свои растения на несколько дней от вредителя.
- Чтобы насекомые не разлетелись, берут ведро, наполненное мыльным или соляным раствором.
- Нельзя давить жуков и личинок на земле между рядами, так как они могут выжить и вернуться на кусты.
- В жаркую погоду насекомые проявляют особую активность на верхушках растений, но не стоит забывать осматривать нижние ряды растений.
- Кладки яиц удаляют вместе с кусочками листьев.
В ведро для сбора можно налить керосин, но при длительном вдыхании запаха, у человека могут появиться признаки отравления. Лучше использовать соль или мыло.

Растительные настои и отвары
Приготовить отвары и настои для обработки от колорадского жука можно на основе растений и подручных домашних веществ.
- Настойка из полыни. Листья и стебли измельчают, заполняют ведро на треть объема. Массу заливают кипятком и оставляют настаиваться на несколько дней. Затем полученным составом можно опрыскать посадки.
- Раствор березового дегтя. В 10 литрах воды разводят 100 гр. дегтя. Опрыскивание выполняют в вечерние часы.
- Отпугнуть может чеснок и лук. На 200 гр. луковой шелухи и растертых головок чеснока берут 10 л воды и кипятят на медленном огне. Можно добавить 200 гр. махорки. Отвар процеживают и доводят до 10 л. Для того чтобы состав прилипал и оставался на листве, в него добавляют 40 гр. измельченного мыла.
- Настой можжевельника. Несколько побегов заливают 10 л воды и настаивают 3-4 часа. Процеженным раствором опрыскивают посадки.
- Чистотел. Использовать можно в виде мульчи и отвара. Ведро заполняют стеблями растения. Заливают водой и кипятят 15 минут. Полученный отвар процеживают. Для опрыскивания на ведро воды берут 0,5 л приготовленного отвара.
Меры борьбы с колорадским жуком без химии помогают избавиться от колорадского жука на картошке без применения химии.
Приманки для колорадского жука
Эффективным способом борьбы является установка ловушек. Они привлекут вредителей, что поможет сэкономить время на ручном сборе. В литровую банку укладывается несколько ломтиков нарезанного картофеля. Края банки смазывают соком картофеля. Ловушки закапывают в междурядьях так, чтобы края были над поверхностью грунта.
Через некоторое время ловушки наполнятся вредителями. Их убирают и жуков уничтожают. Одной такой ловушки достаточно для 5 кв. м. Вместо банок можно использовать более простой вариант — разложить порезанный картофель на участке, а затем убрать с него вредителя.
На заметку!
Наиболее эффективно использование подобных ловушек осенью, пока они не зарылись в землю на зимовку.
Растения против колорадского жука
Для эффективной борьбы учитывают принципы севооборота. Полностью избавиться от вредителя не получится, но уменьшить численность на своем участке можно.
Это насекомое не переносит аромат некоторых цветущих растений, поэтому их можно расположить рядом с посадкой. Участок будет украшен, а полосатый враг побоится переселиться на грядки пасленовых культур.

Колорадский жук боится аромата следующих растений:
- настурция;
- конопля;
- бархатцы;
- календула;
- кориандр;
- ночная фиалка.
Отпугивают жуков рядом расположенные грядки чеснока, фасоли и других бобовых.
Народные методы борьбы
Народные способы борьбы с колорадскими жуками
Для тех людей, которые категорически против применения на своих грядках инсектицидов и других токсичных средств, существует множество народных способов борьбы с колорадским жуком. Самые популярные среди них следующие:
- Древесной золой удобряют землю во время посадки картофеля. Когда начинается цветение, цветы можно посыпать мелкой золой. Колорадский жук избегает контакта с золой. Такой способ борьбы с листоедом является еще и хорошим удобрением.
- Мыльным раствором на основе хозяйственного мыла опрыскивают ботву картошки. Для этого один кусок мыла измельчают в ведре воды и оставляют на полчаса настояться.
- Настой табака способен эффективно вытравливать полосатого вредителя. Домашнее средство можно приготовить следующим образом: 200 грамм сушеного табака залить 10 литрами воды и настаивать смесь 2 суток. Затем настой процедить и обрызгивать им растения.
- Отвар чистотела известен своим применением против жуков-листоедов. Рецепт средства из чистотела достаточно простой. Листья и стебли чистотела нужно залить теплой водой в соотношении 1 кг на 10 литров воды. В отдельной емкости растворяют 15 грамм хлористого кальция на 1 литр воды. Смешивают оба раствора, процеживают и опрыскивают полученной жидкостью ботву.
- Сода и уксус эффективно применяются в борьбе против полосатого листоеда. Для получения раствора пищевая или чайная сода 100 грамм смешивается с 100 мл столового уксуса и с 10 литрами воды. Смесь подходит для опрыскивания картофеля.
- Самое натуральное средство от жуков – это их естественные враги. Многие виды домашних птиц питаются колорадским жуком. Чтобы птицы охотно ели их, цыплятам с трехнедельного возраста подмешивают в еду порезанную картофельную ботву и измельченных жуков. После достижения 2-3 месяцев молодую птицу выпускают в огород.
- Обычный чеснок от колорадского жука также эффективно помогает. Для этого нужно измельчить 200 грамм зубчиков и зеленых стрелок добавить в ведро воды. Настоять жидкость в течение 4 дней, а потом распылить его на зеленую ботву.
- К естественным врагам полосатого жука-листоеда относятся некоторые насекомые: божья коровка, проволочник, златоглазка, жужелица, паук. Этих полезных букашек нельзя уничтожать.
- Прежде чем полить картошку каким-либо средством, можно попробовать собрать жуков вручную. Если их количество еще не успело разрастись, вполне эффективным будет процедура стряхивания насекомых веником в широкую емкость или таз. Собранных листоедов можно пересыпать в глубокую банку и залить бензином или керосином. Такой метод борьбы является самым безопасным.
Как их отвадить?
Про пестициды, тем более, системные, речи не будет, их более чем достаточно в магазинной картошке. Способов отогнать жуков или не пустить на свою картошку много, остаётся подобрать под условия своего участка и личные предпочтения.
Сразу стоит отметить, что мероприятия должны быть ежесезонными, комплексными и бдительности терять не нужно: даже если своих жуков всех извели, вполне могут прилететь соседские или даже из другого района – летают они вполне прилично, особенно по ветру.
Начать стоит с осени, когда жуки будут закапываться в почву, укладываясь спать на зиму. Обладая неплохим обонянием, позволяющим им найти по аромату любимые паслёновые, жуки не переносят душок гниющей луковой шелухи (тут я с ними солидарна, мерзкий запах). То есть, если раскидать по участку ботву лука, луковую шелуху и подгнившие луковицы, можно вынудить жуков искать себе другое место для ночлега. Шелухой и гниющим луком с удовольствием делятся магазины.
Кроме лука, жукам неприятны запахи сильно пахнущих растений: полыни, мяты, чеснока, мелиссы, тагетесов, укропа, кориандра, чабреца, базилика, хризантем. Полезно мульчировать этой пахучей ботвой картофель уже с июня, потому что на зимовку частично уходят и жуки первого поколения. И именно они, отоспавшись, принесут максимальный вред в следующем году. Зимуют они, кстати, на глубине 20-50 см, даже перекопка не спасает.
После выкопки картофеля все эти остатки неплохо заделать в почву. Или оставить сверху. Но не оставлять картофельную ботву — своим запахом она привлечёт соседских или просто пролетающих мимо жуков.
Очень хороший способ оздоровления картофельного участка – посев в качестве подзимнего сидерата редьки масличной. Она холодостойкая, даёт мощную листовую массу, замечательно подавляет сорняки (в том числе, пырей), а корневые выделения способствуют уничтожению нематод, снижению численности проволочника и колорадского жука, который запахи крестоцветных не любит и зимовать туда не пойдёт. Жуки, которые уже в почве, постараются весной покинуть такое неприятное и не пахнущее картошкой место.
Эти меры, однако, не означают, что в почве жуков совсем не будет. Жуки хитры и некоторые умники впадают в спячку даже на 2-3 года, так что в почве есть прошлогодние и позапрошлогодние жуки. Их при посадке картофеля отваживают, добавляя в лунку опять же, луковую шелуху.
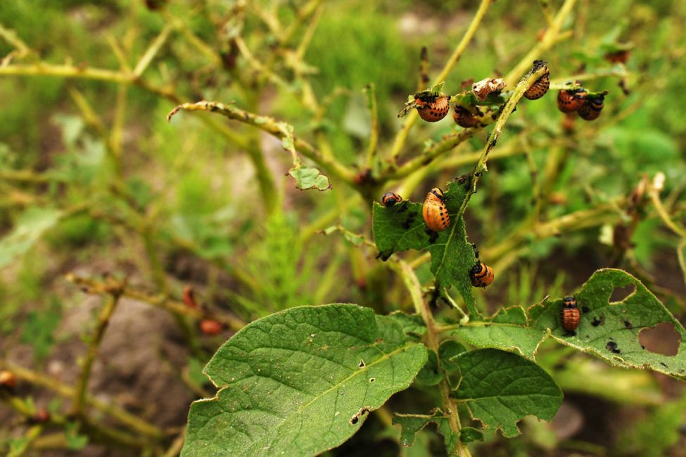
Яйцекладка колорадского жука
Общие вопросы борьбы с колорадским жуком

Таким образом, единственно приемлемый способом борьбы с этим насекомым – истребление его при помощи специализированных инсектицидов. Борьба с этим вредителем должна учитывать особенности жизненного цикла жуков, именно так будет достигнута максимальная эффективность от всех средств, которые планируется применить.
Рассмотрим жизненный цикл и особенности развития жука более подробно:
Жуки зимуют на глубинах от 30 до 50 см. Те из них, которые не замёрзли зимой, выходят на поверхность, начинают питаться молодыми побегами (не обязательно паслёновыми) и спариваться. Причём, если самка жука спарилась осенью, то весной, выходя из спячки, она сразу же откладывает яйца.
Жуки выходят из своих зимних укрытий, когда заморозков уже не предвидится. Обычно, это происходит, когда температура воздуха стабилизируется в районе +12-15°С и серьёзных осадков не предвидится. Пик такого исхода приходится на последнюю декаду апреля – первую декаду мая.

Яйца колорадского жука
В течение одного дня самка жука способна отложить несколько десятков яиц; в течение всего срока жизни самки число яиц может достигать около тысячи (по некоторым данным – семисот).
Таким образом, поголовье всего лишь одной самки способно превратиться в очаг распространения жуков регионального масштаба. В северных районах жуки редко переживают одно поколение, однако, на юге (Кубань, Ростовская и Астраханская области, Казахстан, Украина, Молдавия), поколений колорадских жуков может быть два или три, в зависимости от температуры и длительности теплого сезона. Это означает, что фактически профилактические мероприятия по борьбе с жуком должны начинаться уже на этом этапе.
Личинки выходят из яиц уже на 5 день, при неприятных погодных условиях – на 15. Для того, чтобы успешно бороться с вредителями на данном этапе, нужно не допустить появления большого числа личинок и уничтожить максимальное количество насекомых до того, как они отложат яйца.

Случай, когда принятые меры оказались бесполезными или несвоевременными
Личинки будут набирать массу порядка трёх недель, потом они зарываются в землю и превращаются в куколок. Куколки либо успевают превратиться во взрослых насекомых и выйти наружу под конец лета, либо так и зимуют до следующего года, а потом превращаются во взрослые особи следующей весной. Взрослые жуки в поисках новых мест кормления или же мета зимовки способны совершать перелёты до 10 км в день.

Они ещё и летать могут!
Жизненный цикл колорадского жука составляет несколько месяцев, однако, у этих насекомых есть уникальная способность входить в состояние диапаузы – многомесячной спячки, которая может доходить до 3-4 лет. Именно поэтому жуки становятся способны производить потомство сразу в середине весны (из взрослых оплодотворённых перезимовавших самок), и это является причиной невозможности их тотальной ликвидации. Ну, во всяком случае, пока не является…
Современные средства против жуков, созданные химической промышленностью являются достаточно эффективными и состояние вопроса сейчас значительно лучше, чем лет 20-30 назад. Вполне возможно, что вскоре и появится универсальная методика по полному истреблению колорадского жука.
Клематис: описание, классификация сортов, выращивание, посадка и уход в открытом грунте (50 Фото & Видео) +Отзывы
Как избавиться от колорадского жука
Борьба с колорадским жуком
Борьба с колорадским жуком включает в себя агротехнический, механический, биологический и химический способы. Используя приемы, улучшающие рост и развитие пасленовых растений, можно добиться повышения устойчивости культур к повреждениям и тем самым затруднить условия жизни вредителей и сократить их численность. Исходить следует из того, что колорадский жук повреждает в первую очередь слабые растения, поэтому необходимо применять такие агротехнические приемы, которые способствуют укреплению здоровья растений:
- выбирать для выращивания плохо поедаемые жуком сорта пасленовых;
- сажать только качественные и здоровые картофельные клубни;
- осуществлять своевременный и грамотный уход за посадками.
Механическим способом жуков уничтожают, когда их немного: как только появятся всходы или укоренятся сеянцы, необходимо внимательно осматривать не только растения, но и почву вокруг них, чтобы вовремя обнаружить вредителей и собрать их в банку с насыщенным солевым раствором или керосином.
Самым безопасным для вашего огорода и самым перспективным является биологический способ борьбы с колорадским жуком. Он основан на использовании во вред насекомому его естественных врагов – птиц, микроорганизмов, хищных и паразитических насекомых.
Химический способ предполагает обработку растений инсектицидами в период второго возраста личинок и при массовом появлении молодых жуков. Но следует знать, что колорадский жук имеет высокую устойчивость к ядохимикатам и довольно быстро к ним приспосабливается. Не вызывают привыкания системные инсектициды, показывающие высокую эффективность в борьбе с вредителем в течение многих лет.
Средства от колорадского жука
Лучшими химическими средствами против колорадского жука являются такие препараты:
- Актеллик (пятидесятипроцентный концентрат эмульсии) – инсектицид широкого спектра действия, который можно использовать не более двух раз за сезон, разводя 15 г препарата в 10 л воды. Расход раствора – 1 л на 10 м² участка с пасленовыми культурами;
- Арриво (двадцатипятипроцентный концентрат эмульсии) – инсектицид еще более широкого спектра действия, чем Актеллик, который тоже применяют не чаще двух раз за вегетацию, растворяя полтора грамма препарата в 10 л воды. Расход – 1 л на 10 м²;
- Децис (двадцатипятипроцентный концентрат эмульсии) – инсектицид контактного действия, показывающий в благоприятных условиях высокую эффективность при низкой норме расхода. Не смывается дождем, распадается в почве, не накапливаясь, взаимодействует с другими препаратами. Децис, как Арриво и Актеллик, можно использовать не более двух раз за сезон. Способ приготовления раствора и расход на м² такой же, как у названных препаратов;
- Итра-ВИР (таблетки) – одну таблетку препарата растворяют в ведре воды и расходуют для опрыскивания по 1 л состава на 10м² участка с пасленовыми культурами. Обработка от колорадского жука Инта-ВИРом проводится не более двух раз за сезон;
- Каратэ, Кинмикс (пятипроцентные концентраты эмульсии) – английские инсектициды. Для приготовления раствора в 10 л воды добавляют 1 г Каратэ или 2 г Кинмикса. Применять эти инсектициды можно не более двух раз за вегетацию;
- Сонет (десятипроцентный концентрат эмульсии) – американский инсектицид контактного действия, которым можно обработать пасленовые от колорадского жука только один раз – в период массового появления личинок. В 10 л воды разводят 2 г препарата, расходуя по 1 л состава на 10 м² посадок;
- Суми-Альфа (пятипроцентный концентрат эмульсии) – японский инсектицид, применяемый не более двух раз за сезон в виде раствора 1,5 г препарата в 10 л воды. Последнюю обработку проводят не позднее, чем за 30 дней до сбора урожая. Расход – 1 л на 10 м²;
- Сумицидин (двадцатипроцентный концентрат эмульсии) – еще один японский препарат, применять который можно только два раза за вегетацию в виде раствора 3 г инсектицида в 10 л воды. Расход раствора тот же, что и у других препаратов;
- Цимбуш (двадцатипятипроцентный концентрат эмульсии) – английский препарат широкого спектра действия, применяемый не более двух раз за сезон. Для рабочего раствора в ведро воды добавляют 1 г препарата. Расход тот же;
- Шерпа (двадцатипятипроцентный концентрат эмульсии) – французский препарат с нормой расхода и рецептурой, как у Цимбуша;
- Престиж (концентрат суспензии) – инсекто-фунгицидный протравитель для клубней картофеля . Применяется Престиж и для обработки уже проросших пасленовых – 100 мл препарата разводят в 10 л воды;
- Регент от колорадского жука – универсальный инсектицид в ампулах по 1 мл. Для приготовления раствора в ведре воды разводят одну ампулу препарата.
Почему с колорадом так тяжело воевать?
Методов борьбы с этой напастью — много, но, несмотря на все это, дачникам легче не становится. Ежегодно им приходится уничтожать полчища колорадских жуков, но их армия только увеличивается. Почему же они такие живучие? Этому имеется объяснение.
- на нашей земле у жука мало природных недоброжелателей — никто и ничто не мешает ему плодиться;
- количество яиц, откладываемых одной самкой за сезон, зашкаливает и достигает 1000 и больше штук;
- насекомое при отсутствии пищи впадает в спячку, которая длится до 3-х лет. А после чего — пробуждается и дает вполне жизнеспособное потомство;
- во время зимовки в глубинных слоях почвы колорад становится недосягаемым для большинства химикатов;
- жуки легко меняют место кормежки, массово перелетая на сотни километров;
- в процессе борьбы одновременно охватить всю зараженную территорию невозможно — пока вы уничтожаете его в одном месте, он появляется в другом.
Неужели все так плохо и «операция по полному уничтожению» изначально обречена на провал? Нет, конечно. При условии, что вы знаете, какие средства — самые эффективные.
Методы борьба народными средствами от колорадского жука
Избавиться от нашествия непрошеных полосатых гостей можно весьма простыми народными средствами. При необходимости их применяют вместе с «Хлорофосом» — ядохимикатом, разрешенным для борьбы со злостным насекомым. К эффективным вариантам также относят:
— рыхление рядов, присыпание картофельных всходов;
— луковую шелуху;
— древесную золу;
— весенние ловушки;
— ловушки для жуков под осень;
— разведение естественных врагов вредителей;
— высадку растений, отпугивающих колорадского жука;
— растительные настои;
— горчицу или уксус;
— ручной сбор.
Народные средства чаще всего открываются овощеводами случайно, они могут сработать в одних условиях и быть неэффективными в других. Поэтому к ним надо относиться с долей критики и не ждать 100% результатов. Способы борьбы с колорадским жуком разнообразны, рассмотрим их подробно, чтобы вы могли выбрать наиболее подходящие.
Стоит обратить внимание
Кораген
Кораген
На первом месте находится новейшее средство из списка – Кораген ExpertGarden. Оно имеет несколько серьезных преимуществ в сравнении с остальными препаратами, обработка которых ведется по вегетации.
В первую очередь, это – отсутствие резистентности, что позволяет повторять обработки Корагеном несколько сезонов подряд без уменьшения эффективности.
Второе, не менее важное, преимущество – воздействие Корагена на яйцекладки колорадского жука. Это кратно повышает эффективность и не оставляет возможности выжить вредителям
ТОП-10 Лучших средств от тараканов в квартире или частном доме (2019) +Отзывы
Средства
Уксус
Чтобы средство приготовить, необходимо растворить в ведре воды половину бутылки столового уксуса (9%-ного), и добавить 100 граммов пищевой соды. Опрыскивание данным средством необходимо проводить сразу же после приготовления. Очень хорошее средство против колорадского жука это сочетание горчицы и уксуса.
Зола
олу можно засыпать сразу же в лунки при посадке картофеля, а можно использовать и другими способами — добавляя в различные составы для опрыскиваний, или же просто рассыпая по грядкам.
В период цветения рекомендуется рассеивать золу над картофельным полем, отпугивая тем самым вредителя. Рассеивание рекомендуется выполнять через решето, чтобы на кусты не попало крупных фракций. Кроме того, желательно выбрать ветреную погоду, чтобы зола разносилась по всему полю. На сотку земли потребуется примерно 10 кг золы. А вот как использовать костную золу как удобрение, и в каком случае её стоит применять, изложено здесь.
Также стоит обратить своё внимание на то, как используется отрава от колорадского жука Престиж. Кроме сухого распыления из золы можно готовить и растворы для опрыскиваний
Так, зарекомендовал себя зольно-мыльный раствор, который одновременно с уничтожением колорадского жука борется и с многими другими вредителями. Рекомендуется использовать данное средство, когда ботва достигнет 15 см в длину
Кроме сухого распыления из золы можно готовить и растворы для опрыскиваний. Так, зарекомендовал себя зольно-мыльный раствор, который одновременно с уничтожением колорадского жука борется и с многими другими вредителями. Рекомендуется использовать данное средство, когда ботва достигнет 15 см в длину.
Концентрированный раствор для обрызгивания картофельных кустов на основе мыла (1 брусок хозяйственного) и золы (2 литра) на ведро воды, отличается, по отзывам аграриев, необычайной эффективностью. Уже после второго опрыскивания полученным концентрированным составом от колорадского жука не остается и следа.
Горчица
Для приготовления действенного средства против вредителей килограмм горчичного порошка размешивают в ведре воды, а затем добавляют 100 мл уксуса (9%-ного). Отметим результативность такого опрыскивания — горчично-уксусный состав уничтожает колорадских жуков быстро и эффективно. А вот как происходит защита картофеля от колорадского жука перед посадкой, и какими средствами, указано здесь.
Чеснок
Чтобы приготовить эффективный против колорадского жука настой чеснока, овощ необходимо тщательно измельчить. Возьмите для этого 200 граммов головок и стрелок (если они имеются). Растительный материал необходимо поместить в ведро с водой (10 л), после чего в течение 4 дней настаивать. Перед процедурой опрыскивания добавьте в получившийся настой 40 граммов мыла для усиления поражающего эффекта. А вот чем опрыскивать баклажаны от колорадского жука, и какие средства стоит применять, поможет понять данная информация.
Томат
Чтобы средство приготовить, нужно использовать томатную ботву, включая листья и побеги.
Килограмм ботвы заливается литром воды, все настаивается 5 часов. После этого к составу нужно добавить две столовых ложки концентрированного жидкого мыла (лучше хозяйственного). И сразу же можно проводить опрыскивание.
Пусть раствор пару часов настоится, после этого сразу же можно идти на грядки.
Лопух
Чтобы приготовить средство против колорадского жука, можно использовать даже сорные растения — в том числе растущий всюду и везде лопух. Для приготовления раствора понадобятся черенки и листья этого растения: их мелко нарезают, закладывают в ведро, заполняя треть его объема, затем заливают кипятком до верха, после чего трое суток настаивают.
После того, как процесс настаивания подойдет к концу, средство процеживают, и сразу его можно использовать непосредственно для опрыскивания картофеля.
Дeвясил
Опрыскивать настоем девясила рекомендуется, когда картофельная ботва достигнет в длину 15 см: раньше — малоэффективно. Три опрыскивания средством за сезон — и колорадский жук полям не грозит.
Одуванчик
Полученный концентрат перед использованием необходимо разбавлять водой в пропорции поллитра средства на ведро воды.
Вопрос №1. Как спасти баклажаны от колорадского жука?
Ответ: Спрячьте от вредителя кусты баклажанов. В этом вам помогут пластиковые бутылки. При высаживании рассады «оденьте» ее в чехол из средней части бутылок: жук не сможет забраться по скользкой поверхности. А те отчаянные особи, которые решатся прилететь, легко снять руками. Учтите и тот фактор, что летом жукам лень летать, они предпочитают переползать от куста к кусту.
Второй способ: завалите почти «с головой» кусты баклажанов разными травами. Непривычный запах собьет жуков с толку, отпугнет.
Вопрос №2. Какой препарат сегодня наиболее эффективно применяется в борьбе с колорадским жуком?
Ответ: Вы получите высокий урожай картофеля, применяя новый очень эффективный препарат «Актара».
Его преимущества:
- защищает культуры от нескольких вредителей;
- устойчив к смыванию дождем;
- имеет низкую норму расхода, снижает количество обработок;
- эффективен при высоких температурах;
- активен при низкой влажности.
Уксус тоже поможет
Уксус характеризуется резким запахом и кислым вкусом, насыщенность которого зависит от концентрации. Может использовать не только для приготовления кулинарных шедевров, но и для борьбы с колорадским жуком, поскольку обладает многими преимуществами. Таковыми являются доступность средства и небольшая его стоимость.
Механизм действия средства против вредителей с использованием уксусной эссенции заключается в ее способности проникать внутрь организма насекомого и выжигать все его внутренние органы. Однако для достижения такого эффекта необходимо использовать кислоту 80% концентрации, но это грозит гибелью и растению. Поэтому перед тем как избавиться от колорадского жука уксусом, его нужно развести до концентрации 9%. Это отпугнет вредителей от картофеля.
Приготовить раствор, который можно использовать для обработки растений, легко. Необходимо растворить уксусную эссенцию в определенном количестве воды (для обработки 1 сотки участка достаточно 100 мл уксуса растворить в 1 ведре воды). Хранить полученный раствор нельзя.
Усилить действие раствора помогут добавки (количество указано для 1 ведра уксусного раствора):
- 1 пачка сухой горчицы;
- 1-2 ст. настоя полыни;
- 100 мл скипидара;
- 2 головки чеснока;
- 300-400 г настоя луковой шелухи.
Как избавится от колорадского жука навсегда, используя для этого уксус? В первую очередь требуется использовать большое количество раствора. Чем его больше, тем более эффективной будет обработка. Частота также имеет значение. Вреда от большого количества опрыскиваний не будет. Помимо этого, следите за тем, чтобы уксусный раствор не стекал вниз и не впитывался в почву, а располагался именно на поверхности растения.
Препарат абсолютно безопасен для окружающих растений и самого картофеля, а также для экологии в целом.




































